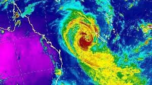
Hi everyone, hold onto your hats my family in both Mackay are preparing for the worst as they wait for the likelihood that ex-cyclone Owen reforming as it heads for south of Townsville today.....Halifax seems to be copping over 600 millimetres, see latest mapping forecast below. Gwynnie
Owen turned out to be the best type of cyclone giving all in the area some nice steady rain (in Townsville, we got 211mm); the Ingham area got a "bit more".
The only people who got into trouble (one drowning, two had "croc watchers") were those who ignored the warnings -
1. If it's flooded, forget it (attempting to drive through causeways, etc!
2. Stay out of flood waters & read the signs! But young fellows are invincible, especially with some booze & mates present! Was sad for the family.
Radar said
08:36 PM Dec 30, 2018
Our morning here in Innsbruck Austria.
Snow has been falling since midnight giving the valley here a good coating of snow after the rain a couple days ago washed and melted th snow, up another 400 metres and above they have been getting regular snow falls?
As I write the snowing has turned to rain which will melt this snow down in the valley, yak the mess it leaves.
After breakfast we need to clear the drive best done before the snow packs down.
Great to hear from you again, it has been a while. The family said it was just as well it passed them by and the rain fell right where it was needed- Inland, everyone happy so I was told..... The weather here on KI is perfect averaging 25 degrees and sunny. Radar seems to be enjoying the cold and snowy conditions. beautiful photos so crisp and clear- beautiful Radar..... Have a great New Year's eve and stay inside safe and sound. Gwynnie
Very hot and sunny. Light winds becoming north to northwesterly 20 to 25 km/h in the morning then becoming light in the evening.
Sun protection recommended from 8:50 am to 5:50 pm, UV Index predicted to reach 14 [Extreme]
We are now down with our other son in Woodend Vic.
Today was a low 10 and a max. 20
Tomorrow.... Friday......Woodend
will be a low of 9 and a max of 31.
Now that is what I call Climate change.
Whilst Friday back home in Brisbane
Low 22 and max 29
Toeknee and Cheza said
07:38 AM Jan 11, 2019
barossa valley friggin hot 39degrees
to hot for wine
never to hot for beer
Relax-n said
10:16 AM Jan 18, 2019
Andrews Farm, now 23deg. (SA)
The sky has been falling for a little while now, just enough to make all the dust form a layer of yuck on everything. also humid.
I am now going outside to see if I can count the drops before they evaporate..........
It is a pleasant change from the 42 and 44s we have been having.
Stay cool everybody
UPDATE.......
I have now lost count of the drops and believe this is what they call RAIN. Dont know how long its here for, but hopefully a while
-- Edited by Relax-n on Friday 18th of January 2019 02:16:39 PM
Baggy Bums said
08:28 PM Jan 18, 2019
Weve just broken records here in Canberra for the most days over 40C. At least its mainly a dry heat.
Bobdown said
05:40 PM Jan 20, 2019
Bridgetown Forecast
Today
41°C
Tonight
15°C
Now
40.0°
-- Edited by Bobdown on Sunday 20th of January 2019 06:17:50 PM
matildatraveller said
03:58 PM Jan 24, 2019
Hi from Kangaroo Island, the hot Northerly winds heats up Adelaide- stay indoors with the aircon on where possible and a total fire ban exists for all of KI Gwynnie
Australian heatwave: Adelaide breaks all-time temperature record live
Morphett Vale South of Adelaide 41 lunchtime 47 at 3.30 pm
Goldfinger said
04:45 PM Jan 24, 2019
Loxton Riverland SA, Officially 44.3 at 4.00pm 24/1 and still rising.. its 48 outside under my awning, on my thermometer....we're all entering new Territory with temperatures.....perhaps we'll all 'evolve' to being born with scales or thicker skin...?..Lol..but won't be in our lifetimes....Hoo Roo
-- Edited by Goldfinger on Thursday 24th of January 2019 04:48:36 PM
Hewy54 said
05:47 PM Jan 24, 2019
Gawler, just north of Adelaide hit an official 48. Cooled off a bit now and sitting on 46.3.
Kaid said
11:35 PM Jan 25, 2019
Melting here in Tamworth
matildatraveller said
07:29 AM Jan 27, 2019
Hi All, Although the 'heatwave' has moved further east, in its wake it has changed the all time temperatures records in South Australia since January 12th 1939. Gwynnie
Only 39C predicted for Dubbo today. Feels positively balmy.
biggles2 said
06:54 AM Feb 13, 2019
Boomi NSW .. Wed 13th Feb 2019
The drought continues here .. sweeping dust-storm 2 days ago dropped off 5 mls of rain .. Day-temps have been above 37c for the last 5 weeks with 39 yesterday and the same predicted for today. The top temp has been 44.1 and hopefully it doesn't head that way again this summer.
I can be comfortable with the dry heat, but the poor ol' farmers and growers are feeling the pinch.
Jon
-- Edited by biggles2 on Wednesday 13th of February 2019 06:56:04 AM
matildatraveller said
02:52 PM Feb 21, 2019
The weather here at Taree is showers have set in and even down here we are feeling the effects of Cyclone Oma.
Cyclone Oma is now set to hit two states with Queensland and New South Wales set to feel the storm's wrath. The Bureau of Meteorology has issued its first Tropical Cyclone Advice as a huge stretch of coastline braces for the storm's impact.
The Tropical Cyclone Watch zone now currently extends from Bundaberg to Ballina, and includes Brisbane, the Sunshine Coast and the Gold Coast. Gwynnie
-- Edited by matildatraveller on Thursday 21st of February 2019 02:59:57 PM
Hello. In New York, in principle, warm, only the wind is terrible in other matters as always.
Tony Bev said
12:56 AM Apr 19, 2019
Bunbury WA
A bit of weather heading our way
Supposed to be the coldest Easter for a decade
I pity the campers in the forcasted wind, rain, and cold overnights
It is expected to be mainly sunny on Easter Sunday and Monday
biggles2 said
08:02 AM Apr 19, 2019
Boomi NSW .. Good Friday 2019.
Temperature Range expected today .. 16 - 32 .. which is pleasant. Each day is overcast but without a hint of rain. We had 20 mls about 2 weeks ago which has greened up the are and a benefit mainly for the wildlife ..
Enjoy a safe Easter break !!
Jon
BW said
12:05 PM Apr 21, 2019
Starting to rain in broken hill.
Not much in it down here, looks like Camerons corner Birdsville Tiporburra might get a bit.
11:34. Broken Hill & Sth Aust. time.
Relax-n said
09:03 AM May 1, 2019
Heard a horrendous noise last night, thought the roof was caving in.
Then somebody said that four letter word...... RAIN
And a good soaking rain at that.
Nice to see the dust has been washed off of everything, so refreshed
I hope it will be as wide spread as the BOM have forecast.
-- Edited by Relax-n on Wednesday 1st of May 2019 09:04:03 AM
Gaylehere said
01:37 PM May 1, 2019
I know lots of places need rain but I hope for a reprieve (here in Toowoomba) on Saturday as our son is getting married and it is a garden wedding and photos etc. are to be outside. Plus the waiting area for the reception is also outside. The venue decorators will have there hands full if people (adults and children) are trying to get inside out of rain whilst they are trying to set up. Son has said photographer is working on a plan B though. Maybe I should add Bunnings umbrellas to my last minute shopping list. Haha. It will be a great day no matter what. I am so looking forward to it all. Cheers.
Aus-Kiwi said
02:11 PM May 17, 2019
We are way up in front Fairbanks Alaska . 24* sunny all day . Very nice .
Aus-Kiwi said
04:28 AM May 19, 2019
Denali Alaska view and breakfast . Sun light 24 hour day . Habitable 5 months of the year . Or you are snowed in .
-- Edited by Aus-Kiwi on Sunday 19th of May 2019 04:30:03 AM
Hi everyone, hold onto your hats my family in both Mackay are preparing for the worst as they wait for the likelihood that ex-cyclone Owen reforming as it heads for south of Townsville today.....Halifax seems to be copping over 600 millimetres, see latest mapping forecast below. Gwynnie
G'day Gwynnie,
Owen turned out to be the best type of cyclone giving all in the area some nice steady rain (in Townsville, we got 211mm); the Ingham area got a "bit more".
The only people who got into trouble (one drowning, two had "croc watchers") were those who ignored the warnings -
1. If it's flooded, forget it (attempting to drive through causeways, etc!
2. Stay out of flood waters & read the signs! But young fellows are invincible, especially with some booze & mates present! Was sad for the family.
Our morning here in Innsbruck Austria.
Snow has been falling since midnight giving the valley here a good coating of snow after the rain a couple days ago washed and melted th snow, up another 400 metres and above they have been getting regular snow falls?
As I write the snowing has turned to rain which will melt this snow down in the valley, yak the mess it leaves.
After breakfast we need to clear the drive best done before the snow packs down.
Enjoy. Ralph.
Howdy Warren,
Great to hear from you again, it has been a while. The family said it was just as well it passed them by and the rain fell right where it was needed- Inland, everyone happy so I was told..... The weather here on KI is perfect averaging 25 degrees and sunny. Radar seems to be enjoying the cold and snowy conditions. beautiful photos so crisp and clear- beautiful Radar..... Have a great New Year's eve and stay inside safe and sound. Gwynnie
Shepparton.
Visiting family in Victoria. One son at Shepparton and another at Woodend.
Just finished playing 18 holes of golf. But I must say it was very good driving around in a electric kart.
But up to 39 degrees this afternoon.
Going to be a scorcher tomorrow, with forecast being bloody 45 degrees.
Off to the pool, to keep cool.
Jay&Dee
Forecast for the rest of Thursday for Shepparton
Hot and sunny. Light winds.
Fire Danger - Very High
Sun protection recommended from 9:00 am to 5:50 pm, UV Index predicted to reach 13 [Extreme]
7 day Town Forecasts
Friday 4 January Max 45.degrees.
Very hot and sunny. Light winds becoming north to northwesterly 20 to 25 km/h in the morning then becoming light in the evening.
Sun protection recommended from 8:50 am to 5:50 pm, UV Index predicted to reach 14 [Extreme]
Innsbruck Austria.
280 mm of snow in 10 hours
We are enjoying. Ralph
-- Edited by Radar on Saturday 5th of January 2019 10:00:09 PM
-- Edited by Radar on Saturday 5th of January 2019 10:00:50 PM
We are now down with our other son in Woodend Vic.
Today was a low 10 and a max. 20
Tomorrow.... Friday......Woodend
will be a low of 9 and a max of 31.
Now that is what I call Climate change.
Whilst Friday back home in Brisbane
Low 22 and max 29
to hot for wine
never to hot for beer
Andrews Farm, now 23deg. (SA)
The sky has been falling for a little while now, just enough to make all the dust form a layer of yuck on everything. also humid.
I am now going outside to see if I can count the drops before they evaporate..........
It is a pleasant change from the 42 and 44s we have been having.
Stay cool everybody
UPDATE.......
I have now lost count of the drops and believe this is what they call RAIN. Dont know how long its here for, but hopefully a while
-- Edited by Relax-n on Friday 18th of January 2019 02:16:39 PM
Bridgetown Forecast
Now
40.0°-- Edited by Bobdown on Sunday 20th of January 2019 06:17:50 PM
Hi from Kangaroo Island, the hot Northerly winds heats up Adelaide- stay indoors with the aircon on where possible and a total fire ban exists for all of KI Gwynnie
Australian heatwave: Adelaide breaks all-time temperature record live
Loxton Riverland SA, Officially 44.3 at 4.00pm 24/1 and still rising.. its 48 outside under my awning, on my thermometer....we're all entering new Territory with temperatures.....perhaps we'll all 'evolve' to being born with scales or thicker skin...?..Lol..but won't be in our lifetimes....Hoo Roo
-- Edited by Goldfinger on Thursday 24th of January 2019 04:48:36 PM
Hi All, Although the 'heatwave' has moved further east, in its wake it has changed the all time temperatures records in South Australia since January 12th 1939. Gwynnie
Boomi NSW .. Wed 13th Feb 2019
The drought continues here .. sweeping dust-storm 2 days ago dropped off 5 mls of rain .. Day-temps have been above 37c for the last 5 weeks with 39 yesterday and the same predicted for today. The top temp has been 44.1 and hopefully it doesn't head that way again this summer.
I can be comfortable with the dry heat, but the poor ol' farmers and growers are feeling the pinch.
Jon
-- Edited by biggles2 on Wednesday 13th of February 2019 06:56:04 AM
The weather here at Taree is showers have set in and even down here we are feeling the effects of Cyclone Oma.
Cyclone Oma is now set to hit two states with Queensland and New South Wales set to feel the storm's wrath. The Bureau of Meteorology has issued its first Tropical Cyclone Advice as a huge stretch of coastline braces for the storm's impact.
The Tropical Cyclone Watch zone now currently extends from Bundaberg to Ballina, and includes Brisbane, the Sunshine Coast and the Gold Coast. Gwynnie
-- Edited by matildatraveller on Thursday 21st of February 2019 02:59:57 PM
A bit of weather heading our way
Supposed to be the coldest Easter for a decade
I pity the campers in the forcasted wind, rain, and cold overnights
It is expected to be mainly sunny on Easter Sunday and Monday
Boomi NSW .. Good Friday 2019.
Temperature Range expected today .. 16 - 32 .. which is pleasant. Each day is overcast but without a hint of rain. We had 20 mls about 2 weeks ago which has greened up the are and a benefit mainly for the wildlife ..
Enjoy a safe Easter break !!
Jon
Starting to rain in broken hill.
Not much in it down here, looks like Camerons corner Birdsville Tiporburra might get a bit.
11:34. Broken Hill & Sth Aust. time.
Heard a horrendous noise last night, thought the roof was caving in.
Then somebody said that four letter word...... RAIN
And a good soaking rain at that.
Nice to see the dust has been washed off of everything, so refreshed
I hope it will be as wide spread as the BOM have forecast.
-- Edited by Relax-n on Wednesday 1st of May 2019 09:04:03 AM
-- Edited by Aus-Kiwi on Sunday 19th of May 2019 04:30:03 AM
Nice sunset over the Mitchell River,East Gippsland tonight.